
1889 Bacon St Suite# 12
San Diego, CA 92107
CA DRE# 01301301
CA DRE# 01862028


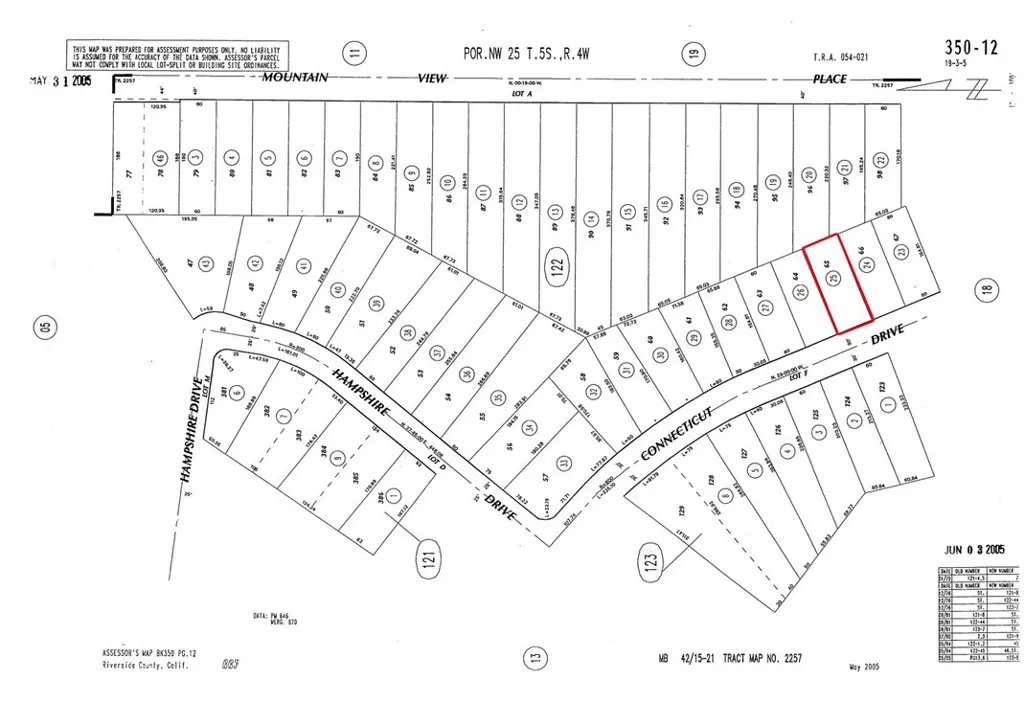
Take advantage of this exceptional opportunity to own a 9,148 sq. ft. (.21 acre) parcel (APN: 350-122-025) in the sought-after Quail Valley area of Menifee in Riverside County. This gently sloped, R1-zoned lot offers the perfect setting to build a custom home or secure a valuable investment in a steadily growing community. With approximately 60 feet of frontage along paved Connecticut Drive, the property provides convenient access and a strong foundation for future development. Utilities are available at the street, helping streamline the building process when youre ready to bring your plans to life. Importantly, the parcel is NOT located within the Quail Valley Moratorium area, offering added flexibility for development. Enjoy peaceful surroundings with scenic canyon and hillside views, while still being close to everyday essentials. The property is just minutes from shopping, dining, and services in Menifee, as well as nearby schools and local parks. Outdoor recreation is within easy reach, with Canyon Lake and Lake Elsinore only a short drive away, along with quick access to the I-15 and I-215 freeways for commuting. Whether you're looking to build now or invest for the future, this property offers a compelling combination of location, usability, and long-term potential. Buyers are encouraged to verify utility availability and development requirements with the City of Menifee.

One fine body…