
1889 Bacon St Suite# 12
San Diego, CA 92107
CA DRE# 01301301
CA DRE# 01862028


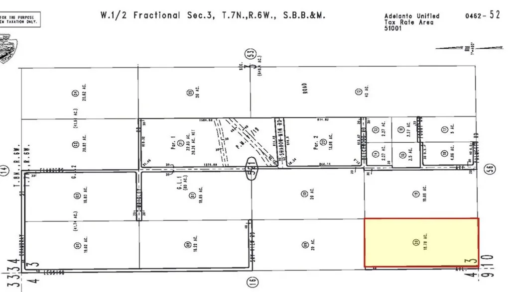
Ideal investment lot for family fun camping/off-road adventures. This 18.78 acre parcel is located on the northeast corner of Lessing Ave & Palmetto Rd just south of Shadow Mountain Rd. The whole lot is level with great access on the North, west, and south side of the property. One of the very few parcels with power in this area located on Palmetto Rd at the southern end of the property. Quick & Easy access from Hwy 395 & located just outside of the El Mirage OHV Area, a 27,275 acre oasis with miles of trails for off road enthusiasts. The property is 1,000 ft Northeast of the CMNA Training Facility. CMNA has been the training grounds for many Motocross Riders over the past 15 years. It serves as a staple for their training due to the abundance of sunshine we receive in the High Desert. South of this property the Cities of Adelanto & Victorville are experiencing a ton of Industrial and Commercial growth. SCLA is located 10 miles Southeast & is home to some of the biggest industrial/manufacturing names like Amazon, UPS, FedEx, Dr Pepper/Snapple, General Electric, Boeing, General Atomics & many more with plans for future development in the immediate area. Northeast of this property, BNSF plans to construct a $2 billion Intermodal facility in Barstow that will increase industrial distribution throughout the High Desert. This is a great investment piece for any land Banker looking to capitalize on future growth while enjoying the property on weekends. Submit all offers, call for additional details.

One fine body…